Skip to content
Map wh

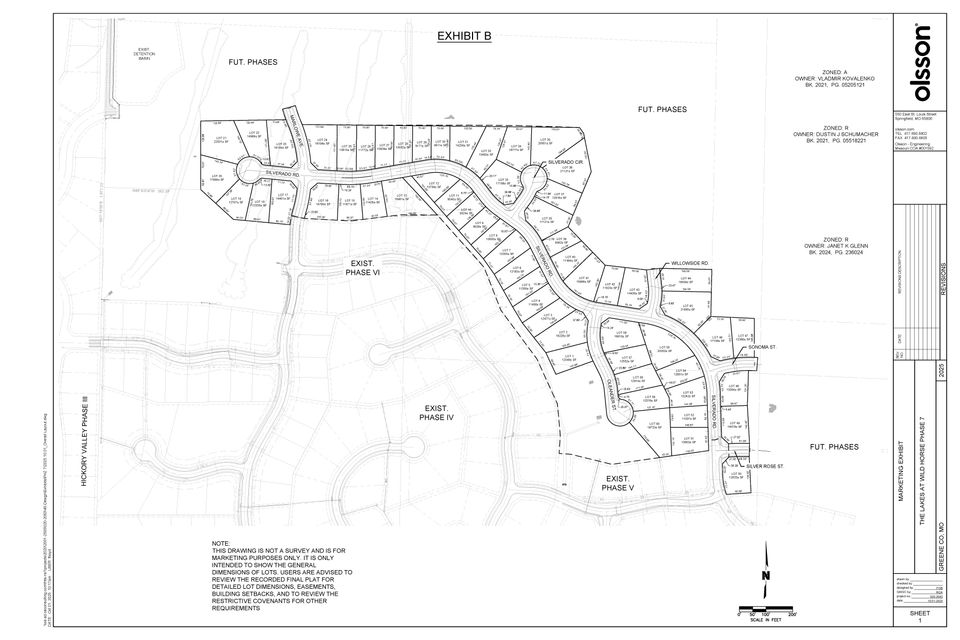
The Lakes at Wild Horse

Featuring lake view lots, community pavilions, swimming pools, water slides, wading pools, tennis courts, basketball courts, sand volleyball courts, playgrounds, barbecue grills, picnic areas and walking trails.

Lot Building Key
ER = Elevated Ranch Home
R = Flat Ranch Home
SH W/O = Shallow Basement/Multi-Level Home
SL = Multi-Level Home
Key is only the opinion of the developer. All lots should be verified by buyer.

PHASE 5

Lot 1  58,900 SOLD
Lot 2  62,900 SOLD
Lot 3  55,900 SOLD
Lot 4  55,900 SOLD
Lot 5  55,900 SOLD
Lot 6  63,900 SOLD
Lot 7  57,900 SOLD
Lot 8  57,900 SOLD
Lot 9  55,900 SOLD
Lot 10  55,900 SOLD
Lot 11  55,900 SOLD
Lot 12  56,900 SOLD
Lot 13  55,900 SOLD
Lot 14  55,900 SOLD
Lot 15  55,900 SOLD
Lot 16  60,900 SOLD
Lot 17  55,900 SOLD
Lot 18  55,900 SOLD
Lot 19  55,900 SOLD
Lot 20  55,900 SOLD
Lot 21  55,900 SOLD
Lot 22  55,900 SOLD
Lot 23  55,900 SOLD
Lot 24  55,900 SOLD
Lot 25  55,900 SOLD
Lot 26  55,900 SOLD
Lot 27  55,900 SOLD
Lot 28  60,900 SOLD
Lot 29  67,900 SOLD
Lot 30  67,900 SOLD
Lot 31  55,900 SOLD
Lot 32  55,900 SOLD
Lot 33  55,900 SOLD
Lot 34  55,900 SOLD
Lot 35  55,900 SOLD
Lot 36  59,900 SOLD
Lot 37  59,900 SOLD
Lot 38  55,900 SOLD
Lot 39  62,900 SOLD
Lot 40  62,900 SOLD
Lot 41  57,900 SOLD
Lot 42  56,900 SOLD
Lot 43  55,900 SOLD
Lot 44  55,900 SOLD
Lot 45  55,900 SOLD
Lot 46  57,900 SOLD
Lot 47  57,900 SOLD
Lot 48  57,900 SOLD
Lot 49  55,900 SOLD
Lot 50  59,900 SOLD
Lot 51  56,900 SOLD
Lot 52  65,900 SOLD
Lot 53  65,900 SOLD
Lot 54  65,900 SOLD
Lot 55  60,900 SOLD
Lot 56  56,900 SOLD
Lot 57  67,900 SOLD
Lot 58  55,900 SOLD
Lot 59  61,900 SOLD
Lot 60  58,900 SOLD
Lot 61  55,900 SOLD
Lot 62  55,900 SOLD
Lot 63  58,900 SOLD

PHASE 6 

LOT 1 65,900 SOLD
LOT 2 67,900 SOLD
LOT 3 69,900 SOLD
LOT 4 62,900 SOLD
LOT 5 62,900 SOLD
LOT 6 59,900 SOLD
LOT 7 65,900 SOLD
LOT 8 65,900 SOLD
LOT 9 62,900 SOLD
LOT 10 62,900 SOLD
LOT 11 65,900 SOLD
LOT 12 68,900 SOLD
LOT 13 68,900 SOLD
LOT 14 68,900 SOLD
LOT 15 69,900 SOLD
LOT 16 72,900 SOLD
LOT 17 66,900 SOLD
LOT 18 63,900 SOLD
LOT 19 69,900 SOLD
LOT 20 70,900 SOLD
LOT 21 72,900 SOLD
LOT 22 71,900 SOLD
LOT 23 70,900 SOLD
LOT 24 74,900 SOLD
LOT 25 73,900 SOLD
LOT 26 76,900 SOLD
LOT 27 70,900 SOLD
LOT 29 68,900 SOLD
LOT 30 67,900 SOLD
LOT 31 67,900 SOLD
LOT 32 67,900 SOLD
LOT 33 67,900 SOLD
LOT 34 63,900 SOLD
LOT 35 65,900 SOLD
LOT 36 67,900 SOLD
LOT 37 68,900 SOLD
LOT 38 67,900 SOLD
LOT 39 66,900 SOLD
LOT 40 67,900 SOLD
LOT 41 68,900 SOLD
LOT 42 67,900 SOLD
LOT 43 66,900 SOLD
LOT 44 69,900 SOLD
LOT 45 69,900 SOLD
LOT 46 65,900 SOLD
LOT 47 68,900 SOLD
LOT 48 72,900 SOLD
LOT 49 76,900 SOLD
LOT 50 75,900 SOLD
LOT 51 76,900 SOLD
LOT 52 65,900 SOLD
LOT 53 63,900 SOLD
LOT 54 66,900 SOLD
LOT 55 69,900 SOLD
LOT 56 68,900 SOLD
LOT 57 69,900 SOLD
LOT 58 63,900 SOLD
LOT 59 63,900 SOLD
LOT 60 68,900 SOLD
LOT 61 64,900 SOLD
LOT 62 72,900 SOLD
LOT 63 76,900 SOLD
LOT 64 76,900 SOLD
LOT 65 74,900 SOLD
 

PHASE 1

Lot 1  36,900 SOLD
Lot 2  35,900 SOLD
Lot 3  35,900 SOLD
Lot 4  33,900 SOLD
Lot 5  35,900 SOLD
Lot 6  33,900 SOLD
Lot 7  36,900 SOLD
Lot 8  29,900 SOLD
Lot 9  36,900 SOLD
Lot 10  36,900 SOLD
Lot 11  36,900 SOLD
Lot 12  36,900 SOLD
Lot 13  35,900 SOLD
Lot 14  44,900 SOLD
Lot 15  44,900 SOLD
Lot 16  44,900 SOLD
Lot 17  42,900 SOLD
Lot 18  42,900 SOLD
Lot 19  44,900 SOLD
Lot 20  44,900 SOLD
Lot 21  44,900 SOLD
Lot 22  44,900 SOLD
Lot 23  44,900 SOLD
Lot 24  44,900 SOLD
Lot 25  46,900 SOLD
Lot 26  46,900 SOLD
Lot 27  39,900 SOLD
Lot 28  44,900 SOLD
Lot 29  39,900 SOLD
Lot 30  37,900 SOLD
Lot 31  39,900 SOLD
Lot 32  39,900 SOLD
Lot 33  39,900 SOLD
Lot 34  39,900 SOLD
Lot 35  44,900 SOLD
Lot 36  37,900 SOLD
Lot 37  37,900 SOLD
Lot 38  62,900 SOLD
Lot 39  59,900 SOLD
Lot 40  59,900 SOLD
Lot 41  59,900 SOLD
Lot 42  62,900 SOLD
Lot 43  62,900 SOLD
Lot 44  62,900 SOLD
Lot 45  59,900 SOLD
Lot 46  57,900 SOLD
Lot 47  57,900 SOLD
Lot 48  57,900 SOLD
Lot 49  ​​​​​​​57,900 SOLD
Lot 50  55,900 SOLD
Lot 51  44,900 SOLD
Lot 52  46,900 SOLD
Lot 53  44,900 SOLD
Lot 54  37,900 SOLD
Lot 55  37,900 SOLD
Lot 56  35,900 SOLD
Lot 57  35,900 SOLD
Lot 58  35,900 SOLD
Lot 59  39,900 SOLD
Lot 60  39,900 SOLD
Lot 61  39,900 SOLD
Lot 62  44,900 SOLD
Lot 63  42,900 SOLD
Lot 64  41,900 SOLD
Lot 65  39,900 SOLD
Lot 66  39,900 SOLD
Lot 67  37,900 SOLD
Lot 68  37,900 SOLD
Lot 69  35,900 SOLD
Lot 71  74,900 SOLD
Lot 72  74,900 SOLD
Lot 73  74,900 SOLD

PHASE 2

Lot 1  38,900 SOLD
Lot 2  39,900 SOLD
Lot 3  42,900 SOLD
Lot 4  42,900 SOLD
Lot 5  42,900 SOLD
Lot 6  42,900 SOLD
Lot 7  41,900 SOLD
Lot 8  41,900 SOLD
Lot 9  45,900 SOLD
Lot 10  41,900 SOLD
Lot 11  39,900 SOLD
Lot 12  39,900 SOLD
Lot 13  42,900 SOLD
Lot 14  48,900 SOLD
Lot 15  49,900 SOLD
Lot 16  40,900 SOLD
Lot 17  39,900 SOLD
Lot 18  39,900 SOLD
Lot 19  44,900 SOLD
Lot 20  42,900 SOLD
Lot 21  42,900 SOLD
Lot 22  43,900 SOLD
Lot 23  43,900 SOLD
Lot 24  43,900 SOLD
Lot 25  38,900 SOLD
Lot 26  42,900 SOLD
Lot 27  42,900 SOLD
Lot 28  39,900 SOLD
Lot 29  44,900 SOLD
Lot 30  49,900 SOLD
Lot 31  45,900 SOLD
Lot 32  43,900 SOLD
Lot 33  37,900 SOLD
Lot 34  39,900 SOLD
Lot 35  47,900 SOLD
Lot 36  49,900 SOLD
Lot 37  51,900 SOLD
Lot 38  49,900 SOLD
Lot 39  47,900 SOLD
Lot 40  39,900 SOLD
Lot 41  41,900 SOLD
Lot 42  ​​​​​​​37,900 SOLD
Lot 43  37,900 SOLD
Lot 44  37,900 SOLD
Lot 45  41,900 SOLD
Lot 46  42,900 SOLD
Lot 47  46,900 SOLD
Lot 48  42,900 SOLD
Lot 49  44,900 SOLD
Lot 50  41,900 SOLD
Lot 51  40,900 SOLD
Lot 52  39,900 SOLD
Lot 53  38,900 SOLD
Lot 54  38,900 SOLD
Lot 55  38,900 SOLD
Lot 56  38,900 SOLD
Lot 57  38,900 SOLD
Lot 58  38,900 SOLD
Lot 59  38,900 SOLD
Lot 60  38,900 SOLD
Lot 61  38,900 SOLD
 

PHASE 3

Lot 1 ​​​​​ ​​29,900 SOLD
Lot 2  39,900 SOLD
Lot 3  39,900 SOLD
Lot 4  39,900 SOLD
Lot 5  39,900 SOLD
Lot 6  42,900 SOLD
Lot 7  42,900 SOLD
Lot 8  40,900 SOLD
Lot 9  41,900 SOLD
Lot 10  41,900 SOLD
Lot 11  43,900 SOLD
Lot 12  47,900 SOLD
Lot 13  38,900 SOLD
Lot 14  43,900 SOLD
Lot 15  41,900 SOLD
Lot 16  47,900 SOLD
Lot 17  47,900 SOLD
Lot 18  43,900 SOLD
Lot 19  45,900 SOLD
Lot 20  47,900 SOLD
Lot 21  ​​​​​​​45,900 SOLD
Lot 22  39,900 SOLD
Lot 23  39,900 SOLD
Lot 24  39,900 SOLD
Lot 25  42,900 SOLD
Lot 26  42,900 SOLD
Lot 27  41,900 SOLD
Lot 28  39,900 SOLD
Lot 29  40,900 SOLD
Lot 30  42,900 SOLD
Lot 31  40,900 SOLD

PHASE 4

Lot 1  47,900 SOLD
Lot 2  39,900 SOLD
Lot 3  40,900 SOLD
Lot 4  44,900 SOLD
Lot 5  44,900 SOLD
Lot 6  ​​​​​​​39,900 SOLD
Lot 7  ​​​​​​​39,900 SOLD
Lot 8  ​​​​​​​39,900 SOLD
Lot 9  ​​​​​​​39,900 SOLD
Lot 10  38,900 SOLD
Lot 11  39,900 SOLD
Lot 12  40,900 SOLD
Lot 13  39,900 SOLD
Lot 14  39,900 SOLD
Lot 15  42,900 SOLD
Lot 16  47,900 SOLD
Lot 17  52,900 SOLD
Lot 18  55,900 SOLD
Lot 19  58,900 SOLD
Lot 20  49,900 SOLD
Lot 21  47,900 SOLD
Lot 22  49,900 SOLD
Lot 23  ​​​​​​​39,900 SOLD
Lot 24  44,900 SOLD
Lot 25  49,900 SOLD
Lot 26  42,900 SOLD
Lot 27  49,900 SOLD
Lot 28  ​​​​​​​49,900 SOLD
Lot 29  49,900 SOLD
Lot 30  46,900 SOLD
Lot 31  47,900 SOLD
Lot 32  46,900 SOLD
Lot 33  46,900 SOLD
Lot 34  50,900 SOLD
Lot 35  46,900 SOLD
Lot 36  46,900 SOLD
Lot 37  47,900 SOLD
Lot 38  40,900 SOLD
Lot 39  41,900 SOLD
Lot 40  42,900 SOLD
Lot 41  41,900 SOLD
Lot 42  41,900 SOLD
Lot 43  54,900 SOLD
Lot 44  47,900 SOLD
Lot 45  ​​​​​​​47,900 SOLD
Lot 46  47,900 SOLD
Lot 47  47,900 SOLD
Lot 48  47,900 SOLD
Lot 49  47,900 SOLD
Lot 50  ​​​​​​​43,900 SOLD
Lot 51  39,900 SOLD
Lot 52  39,900 SOLD
Lot 53  42,900 SOLD
Lot 54  42,900 SOLD
Lot 55  49,900 SOLD
Lot 56  49,900 SOLD
Lot 57  49,900 SOLD
Lot 58  52,900 SOLD
Lot 59  49,900 SOLD
Lot 60  42,900 SOLD
Lot 61  46,900 SOLD
Lot 62  49,900 SOLD
Lot 63  46,900 SOLD
Lot 64  42,900 SOLD
Lot 65  42,900 SOLD
Lot 66  46,900 SOLD

LOT MAPS

BUILDING STANDARDS

COVENANTS, CONDITIONS AND RESTRICTIONS